急曲线盾构掘进对管片结构及周围环境影响的数值模拟研究
Numerical Study on the Effects of Sharp-Curve Shield Tunnelling on Segmental Lining and the Surrounding Environment
摘要: 以桃浦污水处理厂初期雨水调蓄工程急曲线盾构隧道为背景,通过三维有限元数值模拟,研究急曲线盾构施工过程中管片受力与变形特性、土体加固措施有效性以及地表沉降规律。结果表明,急曲线段盾构施工中非对称千斤顶推力导致管片发生明显的水平与竖向位移,管片变形与受力集中于曲线中段和拱腰位置,弯矩和剪力显著增大。采用偏心门式MJS土体加固后,可显著降低管片的水平位移和受力不均现象,并有效控制地表沉降的发展趋势。研究成果可为急曲线盾构隧道施工优化及周边环境保护提供理论支持与工程参考。
Abstract: Taking the sharply curved shield tunnel of the Taopu Wastewater Treatment Plant Initial Storm-Water Storage Project as a case study, a three-dimensional finite-element model is established to examine (1) The mechanical response and deformation characteristics of the segmental lining, (2) The effectiveness of ground-improvement measures, and (3) The evolution of ground settlement during construction. The results show that, in sharp-curve drives, asymmetric jack thrusts induce pronounced horizontal and vertical displacements of the lining; deformation and stress concentrate in the middle portion of the curve and at the springline, with bending moments and shear forces increasing significantly. Adopting an eccentric portal-type MJS (Multiple-Jet-System) grouting scheme markedly reduces horizontal displacements and stress non-uniformity in the lining and effectively restrains surface settlement. These findings provide technical guidance and engineering reference for optimizing sharp-curve shield-tunnel construction and protecting adjacent facilities and ground surface.
文章引用:陈培新. 急曲线盾构掘进对管片结构及周围环境影响的数值模拟研究[J]. 土木工程, 2025, 14(8): 2039-2051. https://doi.org/10.12677/hjce.2025.148222

1. 引言

随着我国城市化进程加速推进,城市地铁交通与市政工程快速发展。盾构法凭借施工效率高、环境影响小、成本可控等显著优势,已成为地铁隧道建设的首选技术[1]。然而,在城市密集建筑群与复杂地下管网限制下,传统直线隧道难以满足规划需求,急曲线盾构隧道因其线形灵活性,逐渐成为优化线路布置的关键技术[2]。与直线隧道相比,小半径曲线隧道施工面临更为复杂的地质环境与周边条件约束。由于曲率半径较小,盾构掘进过程中易发生超挖或欠挖现象,导致管片受力不均、地表沉降加剧等问题,进而对邻近建筑物安全构成潜在威胁[3]

数值模拟技术为揭示曲线盾构隧道非对称掘进参数下管片受力和地层扰动机制提供了有效手段。冯鹏程等[4]基于ABAQUS构建三维模型,针对小半径曲线隧道开展施工稳定性研究,揭示了千斤顶推力非均匀分布对管片变形和地表沉降的影响规律,并分析提出优化土舱压力控制值,验证了数值方法在复杂工况参数优化中的适用性。邹兴[5]通过建立数值模型量化了不同曲线半径及千斤顶推力比对地表沉降非对称分布和管片变形差异的影响,揭示沉降槽和管片拱腰外侧变形规律,为曲线段管片支护优化提供理论依据。陈晨等[6]通过现场监测与数值模拟耦合分析,揭示了非对称千斤顶推力和曲线内侧超挖协同作用下地表沉降槽向隧道轴线内侧偏移的非对称变形机制。程烨等[7]基于深圳妈湾跨海通道工程,采用三维有限元模型揭示超大直径泥水盾构在复合地层中掘进时地表沉降的五阶段演化规律,并发现软硬地层界面突变显著加剧沉降槽非对称发展,为跨海隧道动态沉降控制提供了分层扰动响应机制的理论支撑。朱继文[8]基于FEM仿真模拟分析,研究了软土地层急曲线盾构隧道施工竖向扰动位移及其预测控制,结果表明盾构进入及离开曲线段时土体施工扰动位移显著增大,土体损失率对急曲线盾构隧道施工扰动位移影响显著。叶雅图等[9]针对小半径上下重叠盾构隧道的特殊线形条件,通过有限元数值模拟与修正惯用法结合的方法,系统分析了重叠段施工过程中管片内力分布、地层位移演化规律及开挖顺序优化策略,提出了适用于复杂空间形态盾构隧道结构设计的动态调控原则。张云等[10]通过建立等效圆环区模型,结合三维有限元分析与实测反演,系统揭示了盾构隧道施工中盾尾空隙、注浆填充及土体扰动对地表变形的耦合作用机制,为变形预测提供了理论框架。

盾构机在急曲线条件下掘进时,其通过调节盾构机尾部各分区的液压千斤顶推力完成曲线掘进和轴线调整,非对称推力的影响显著,主要表现为管片局部的应力集中以及隧道整体在纵向上的弯曲变形[11]。针对淤泥质软土地层急曲线盾构隧道施工所面临的地层反力不足、水平方位移较大的情况,急曲线段“偏心门式”MJS土体加固法已经在实际工程中得到应用[12]

现有研究多集中于小半径曲线盾构隧道施工引起的地表变形特性分析,然而,针对管片自身位移行为的研究相对匮乏,尤其是综合考虑土体加固措施和内外侧千斤顶推力分布不均影响的研究更为少见。本文依托上海桃浦污水处理厂初期雨水调蓄工程急曲线段,建立三维有限元数值模型,分析小半径曲线盾构隧道施工过程中管片受力和位移行为和对周围环境的影响,总结土体加固措施对管片水平位移影响规律,为今后类似工程提供参考。

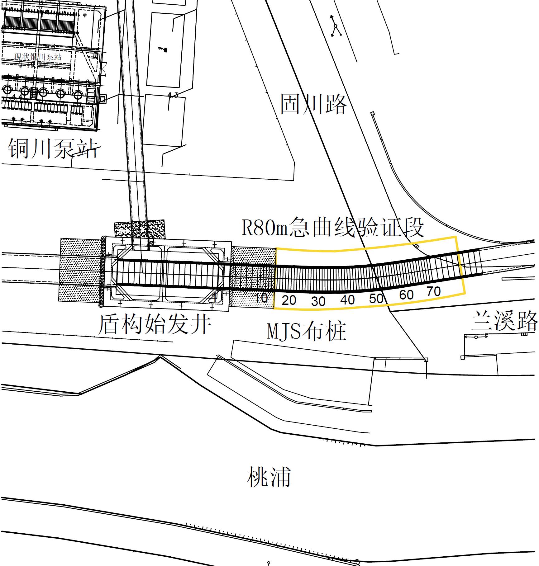
2. 工程背景

桃浦污水处理厂初期雨水调蓄工程距离长、覆土深、且长距离位于⑦号承压水地层,最小转弯半径为65 m,如图1所示为隧道平面图及截面地质断面图。工程选用日本奥村机械制作株式会社带有铰接系统的急曲线泥水平衡盾构机,该盾构机设备能更好适应本工程的施工需求。急曲线隧道管片采用预填混凝土钢结构管片,内径4000 mm、外径4700 mm,环宽为500 mm,双面楔形量为60 mm的管片,理论上可拟合最小半径为39.17 m的圆曲线,满足掘进区间最小半径为65 m的急曲线施工要求。为了验证急曲线隧道施工相关措施的效果、摸索急曲线隧道施工规律,在盾构始发设置一段长度15 m (2倍盾构长度)、曲线半径为80 m的急曲线隧道施工验证段,如图1(a)所示:第1到8环为混凝土管片,环宽为1 m,第9到27环为钢管片,环宽为0.5 m;第28到59环为R80曲线段,采用钢管片,环宽为0.5 m;第60环和第70环为直线段。

(a) 隧道平面图 (b) 地层断面图

Figure 1. Tunnel plan view and geological cross-section

1. 隧道平面图及截面地质断面

急曲线隧道施工存在超挖,同时本工程急曲线段存在软弱地层无法提供足够的急曲线隧道推进反力,为了达到控制地面和周边环境沉降、提供盾构推进所需足够推力、保持隧道稳定的目的,在急曲线隧道段上部和侧面进行MJS预先门式加固,确保急曲线段的盾构掘进施工,提升盾构隧道在复杂地质条件下的稳定性和安全性,确保盾构施工过程中的顺利推进和长期使用的可靠性。如图2所示,本工程中门式加固单侧加固宽度为3 m,高度为8.9 m。

Figure 2. Schematic diagram of MJS portal-type ground improvement

2. MJS门式加固示意图

3. 急曲线盾构数值模拟方案

3.1. 三维数值模型

(a) 三维有限元模型示意图 (b) 有限元模型俯视图

Figure 3. Schematic diagram and plan view of the 3D finite-element numerical model

3. 3D有限元数值模型示意图及俯视图

依据急曲线盾构隧道的岩土工程详勘报告等项目资料,建立如图3所示三维有限元模型,盾构机直径为4.91 m,隧道管片外径4.66 m,内径4 m,土体模型长50 m (x轴方向)、宽40 m (y轴方向)、高50 m (z轴方向),埋深设置为32 m。模型采用C3D8R单元模拟土体,本构关系选择摩尔库伦弹塑性模型。模型底部采用固定约束,四周面采用法向约束,地表不做约束。

3.2. 地层分布与岩土参数

地层自上而下为①1杂填土、①3浜土、②1褐黄色粉质粘土、②2灰黄色粉质粘土、②3灰色砂质粉土、③1灰色淤泥质粉质粘土、③1t灰色砂质粉土、④1灰色淤泥质粘土、⑤1灰色粘土、⑤1t灰色砂质粉土、⑥1层暗绿~灰绿色粉质粘土、⑦1层草黄~灰色砂质粉土。本工程盾构区间主要位于⑤1灰色粘土层、⑦1层草黄~灰色砂质粉土,相关土层参数如表1所示。

Table 1. Table of physical and mechanical properties of layered soil strata

1. 分层地层的土体物理力学参数表

层号

1

2

1

1t

1

1

重度

γo (kN/m3)

18.8

18.7

17.6

18.6

16.9

17.7

固结快剪峰值

C (kpa)

21

19

12

6

12

15

Φ (˚)

18.5

18.5

15.0

29.0

11.5

15.0

层号

1t

3

4

4t

1

1

2

重度

γo (kN/m3)

18.6

18.1

19.6

18.8

19.8

18.8

18.4

固结快剪峰值

C (kpa)

5

16

40

5

43

5

20

Φ (˚)

30.0

19.5

19.5

28.0

19.0

31.5

19.5

3.3. 模型部件材料参数

根据项目施工情况,模型中盾构管片的模拟,直线段1到8环采用混凝土管片,环宽1 m,从第9环到第70环管片采用钢管片,环宽0.5 m。盾壳采用壳单元进行模拟,管片与土体之间设置同步注浆层,注浆层采用弹性模型。数值模型各部件的参数如表2所示。

Table 2. Table of parameters for each component of the numerical model

2. 数值模型各部件的参数表

部件

密度/(g·m3)

变形模量/MPa

泊松比

盾壳

7.85

210,000

0.2

钢环衬砌

3.2

21,000

0.25

混凝土衬砌

2.5

10,650

0.25

注浆层

2

10

0.25

3.4. 模型荷载施加方式

盾构机在急曲线段掘进时,需通过施加非对称的千斤顶推力来产生转向力矩,以克服掘进阻力并精确控制掘进轴线。为在数值模型中复现这一关键行为,参考了工程现场的千斤顶分组与油压设定。如图4(a)所示,本工程盾构机共配备16个推进千斤顶。为实现灵活的姿态调控,这16个千斤顶被划分为四个独立的油压分区(1区、2区、3区、4区)。在急曲线掘进过程中,通过在曲线内侧(本模型中的2区)施加较大的推力,而在曲线外侧(4区)施加较小的推力,形成推力差,从而产生驱动盾构机转向的力矩。

(a) 实际千斤顶分区 (b) 有限元模型管片分区

Figure 4. Jack zoning in engineering practice and segment zoning in the finite element model

4. 千斤顶分区与有限元模型管片分区

在数值模型中,该非对称顶推力通过在最新一环管片后端面施加分区均布压力的形式进行模拟,如图4(b)所示。首先,根据图5中施工现场监测的每一环的各分区平均油压设定值,结合千斤顶油缸的几何尺寸(缸径235 mm),计算出每个分区的总顶推力;然后,将各分区的总顶推力除以其在模型管片上对应的作用面积,换算为等效均布压力;最后,将此均布压力施加于模型中对应分区的管片环面上。这种基于工程实际的分区荷载施加方式,能够真实地反映非对称推力对管片受力与变形的影响。

Figure 5. Partitioned hydraulic pressure in practical engineering jacks

5. 工程实际千斤顶分区油压

盾构机脱出后,管片与周围土体之间会形成建筑空隙(即盾尾间隙)。为及时填充该空隙,控制地表沉降并确保管片均匀受力,需进行同步注浆。在数值模型中,同步注浆的影响通过在盾尾脱出后的管片外表面施加均布压力来模拟。注浆压力通常略大于管片所处位置的静止土压力与水压力之和。在本模型中,综合考虑隧道埋深与地层条件,设定同步注浆压力为300 kPa的均布荷载,如图4(b)所示,该荷载作用于管片外壁和开挖后周围土体表面。

建立急曲线盾构隧道数值模拟的步骤为:① 建立土体三维模型,将隧道开挖部分土体进行分区;②按分析的重要程度进行疏密布种,完成网格划分;③ 建立土层属性及截面属性,将其赋予土体模型,完成装配部件;④ 设定分析步,在相应分析步进行地应力平衡,设定地应力的预应力场,对整个土体模型施加重力荷载;⑤ 应用生死单元功能实现隧道开挖,在开挖面施加设定好的支护压力,对管片施加荷载模拟盾构机千斤顶对管片施加的顶推力;⑥ 在每一个开挖时步内记录隧道各环管片位移与受力情况。

4. 计算结果分析

4.1. 急曲线盾构管片受力及位移

图6为急曲线隧道有限元数值模型计算得到的管片整体水平位移和竖向位移结果,水平位移向曲线外侧方向为正值。工程中主要通过调节盾构机尾部各分区的液压千斤顶推力来完成曲线掘进,不对称推力作用在已拼装管片上引起管片在水平方向的位移。图中最大水平位移出现位置为第35环左右,向曲线外侧的水平位移值约为5.4 mm,第48环左右出现水平位移较大的情况,水平位移约为4.7 mm,在结束急曲线之后的第63环之后,出现水平位移的负值,代表发生朝向曲线内侧位移,最大反向位移值为−0.5 mm。实际推进中,盾尾千斤顶作用的轴力和弯矩发生波动,因此数值模拟得到的水平位移存在波动。

管片竖向位移全部为正值,表示急曲线盾构过程中发生管片上浮,管片竖向位移最大值出现在第53环左右的位置,最大位移值为11.4 mm。

管片位移峰值位置的差异是急曲线掘进中非对称推力动态调整策略的直接力学体现。管片的水平位移主要由水平方向的推力差(即2区与4区油压差)驱动(如图5所示),该推力差产生偏航力矩以实现水平转弯。而管片的竖向位移则主要受竖直方向推力差(即1区与3区油压差)的影响,该推力差产生俯仰力矩影响隧道的高程。从工程实际分区油压数据可以看出,为实现水平面的急转弯,在掘进前期至中期(约35环前后)需持续保持一定的水平推力差,这导致管片在该阶段累积了显著的侧向位移,并达到峰值,在45到50环较大的水平推力差造成水平位移的第二个小高峰。与此不同,管片的上浮的竖向位移峰值出现在第53环附近,这与该位置处竖向推力差达到极值点的现象高度吻合。在该处,3区(底部)油压达到整个掘进过程的峰值,而1区(顶部)油压则处于较低水平,二者形成的巨大推力差产生了强烈的上抬力矩,最终导致了管片竖向位移在该点达到最大值。因此,水平与竖向位移峰值位置的不同,根源在于为实现急曲线通过而采取的水平转弯控制与竖向姿态调整这两种控制策略在时间和强度上的非同步性。

(a) 管片水平位移 (b) 管片竖向位移

Figure 6. Horizontal and vertical displacements of the segmental lining

6. 管片水平位移及竖向位移

急曲线盾构管片整体受力情况如图7所示,管片截面弯矩分布规律为在第70环弯矩值较小,此时盾尾千斤顶作用均匀的推力,管片不受千斤顶等效弯矩作用,但由于管片整体呈曲线,在急曲线段管片会产生较大弯矩,最大弯矩出现在第27环左右,最大弯矩值为9.9 × 103 kN·m。管片截面剪力分布如图7(b),盾尾处第70环管片处剪力绝对值最大,为−1.17 × 103 kN,从第70环到第38环左右剪力逐渐减小,第38环到第1环始发段剪力逐渐增大,最终第1环剪力约为−2.21 × 103 kN。

(a) 管片截面弯矩 (b) 管片截面剪力

Figure 7. Cross-sectional bending moment and shear force of the segmental lining

7. 管片截面弯矩及剪力

急曲线盾构单环的变形和应力分布情况如图8所示,选取第27环作为典型环进行分析,其截面弯矩值最大,对管片承载力具有控制作用,最能代表施工阶段的最不利受力工况。管片水平方向变形最大位置出现在拱腰处,两侧拱腰变形方向均朝向外侧变形,拱腰水平位移值约为3.53 mm;管片竖直方向变形最大位置出现在拱顶和拱底处,顶部变形向下,底部变形向上,竖直方向最大位移值为5.79 mm,管片变形主要受竖直方向土层压力控制,整体呈“扁鸭蛋”形。管片Mises应力分布如图8(c),Mises等效应力用于衡量复杂应力状态下材料的屈服风险,拱腰处Mises应力值最大,达到6.53 × 103 kPa,顶部和底部应力值较小。对于混凝土管片和钢管片,在该应力水平下均未达到屈服或压碎极限,施工阶段不会发生材料破坏。

(a) 水平方向变形 (b) 竖直方向变形 (c) 应力分布

Figure 8. Deformation and stress distribution of the segmental lining in a sharp-curve shield tunnel

8. 急曲线盾构管片的变形和应力分布

4.2. 现场监测数据验证

现场监测数据如图9所示,从整体走势来看,数值模拟所得管片水平位移的变化趋势与现场监测值较为一致,均表现出在环号增加的过程中位移先逐步增大,在31环左右达到最大值逐渐下降,随后在52环附近出现另一个较小的峰值。整体来看,两组数据的最大位移位置和数值基本吻合,数值模拟与监测的峰值均出现在31环左右附近,数值模拟的位移峰值大小为5.19 mm,与监测值6.04 mm差距较小,说明所建立的数值模型能够较好地再现管片位移趋势。

数值模拟结果与现场监测值仍存在局部差异,现场监测曲线波动较大,局部位置甚至出现较大的尖峰现象。现场监测数据从17环开始,前期数据的缺失造成两组数据在盾构开始阶段的差异,使得前期的匹配性降低。数值模拟中采用了第1环固定约束的边界条件,这种理想化边界条件可能会影响前期管片的真实水平位移。

从力学响应来看,监测数据中出现的双峰现象与盾构推力的动态调整密切相关。第一个主峰(约31环)是急曲线掘进初期为实现大幅度转向而持续施加较大水平推力差(如图5所示2区与4区油压差)的累积效应;而第二个次峰(约52环)则反映了掘进后期为精确调整姿态而进行的二次发力,对应了该区段油压差的再次增大。另一个重要的系统性差异源于对管片拼装过程的简化。在实际工程中,为拟合曲线,常采用通用楔形管片(楔形量60 mm)并依据选型策略拼装,通过调整封顶块位置改变每环的实际楔形量,常出现数环左转后拼装一环右转的调整方式。这导致实际的隧道轴线是由短直线构成的折线,而非模型中的平滑曲线。因此,千斤顶推力的实际作用方向会与理想的轴线切线方向存在偏差。数值模拟将管片处理为理想圆柱体分割得到的标准件,每环楔形量恒定,无法完全复现这种由拼装工艺导致的几何非线性和力学传递路径的复杂变化。综上,现场推力的动态调整和管片拼装的系统性简化,是造成模拟与监测结果局部差异和波动的主要原因。

此外,可能的原因一方面是现场地层常出现不均匀现象,而数值模型中采用了均质层内各向同性假设,难以捕捉突变区的局部非线性响应。另一方面,这种明显的波动可能与现场施工过程中的管片拼装误差、同步注浆质量波动或现场测量仪器自身误差有关,这些因素在数值模型中难以准确体现,从而造成了实测值与模拟值之间的波动性差异。

Figure 9. Comparison between numerically simulated and monitored horizontal displacements of the segmental lining

9. 管片水平位移数值模拟与监测值对比

4.3. MJS门式加固对管片水平位移的影响

为解决本工程面临的软土地层中急曲线隧道侧向反力不足及纵向传力不稳的问题,确保盾构隧道在急曲线段的安全与高精度施工,工程采用一种“偏心门式”MJS土体加固法(图2),平衡曲线内外侧土压力差,防止隧道上浮,提高土层与管片的稳定性,降低施工对周围环境的影响。为研究MJS门式加固方法的加固宽度和加固强度对管片水平位移的控制效果,分别建立不同宽度MJS加固区的有限元数值模型,以及改变MJS加固区材料弹性模量。如图10所示,MJS门式加固单侧宽度分别取值为D = 1 m,D = 3 m,D = 5 m,D = 8 m。

D = 1 m D = 3 m D = 5 m D = 8 m

Figure 10. Model of MJS reinforcement zone width

10. MJS加固区宽度模型

MJS门式加固方法的加固宽度对管片水平位移的控制效果如图11所示,当MJS门式加固单侧宽度为1 m时,MJS门式加固效果不明显,最大水平位移高达6.16 mm,出现在第36环左右。当MJS门式加固单侧宽度达到3 m和5 m时,最大水平位移明显减小,最大水平位移出现在第48环左右,最大水平位移为3.67 mm,MJS门式加固单侧宽度3 m和5 m的管片水平位移分布曲线较为相似,最大值较为接近。当MJS门式加固单侧宽度达到8 m时,管片水平位移明显减小,最大值仅为2.45 mm。由此可见,MJS门式加固宽度会显著影响管片水平位移的大小,MJS门式加固宽度越大,急曲线盾构管片水平位移值越小,管片外侧半径为2.33 m情况下,MJS门式加固单侧宽度1 m的效果不明显,加固区单侧宽度达到3 m后可明显减小水平位移值,水平位移减小40%。结合施工经济性分析,单侧 3 m的加固宽度已能满足本工程对位移控制的要求;继续扩大至 5  m或 8  m虽可进一步减小位移,但增益有限且施工成本与工期显著增加。因此,综合位移控制效果与经济合理性,建议采用单侧 3  m的MJS 门式加固方案。

Figure 11. Effect of MJS reinforcement width on the horizontal displacement of the segmental lining

11. MJS加固宽度对管片水平位移影响

为研究MJS门式加固方法的加固材料强度对管片水平位移的控制效果,改变MJS加固区材料弹性模量,得到急曲线管片水平位移分布图12。MJS门式加固材料弹性模量取值分别为E = 20 MPa,E = 40 MPa,E = 60 MPa,E = 80 MPa,E = 100 MPa,当MJS门式加固材料弹性模量为20 MPa时,管片水平位移仍达到4.51 mm,MJS门式加固的效果较差;当MJS门式加固材料弹性模量为100 MPa时,管片最大水平位移仅为2.15 mm。综上所述,MJS门式加固材料强度明显影响管片水平位移,要实现有效的管片水平位移控制效果,MJS门式加固区弹性模量需要达到40 MPa以上,此时最大水平位移减小37%。

Figure 12. Effect of MJS reinforcement strength on the horizontal displacement of the segmental lining

12. MJS加固强度对管片水平位移影响

4.4. 急曲线盾构引起地表沉降的分析

(a) 地表沉降轴向分布 (b) 沉降云图

Figure 13. Distribution of surface settlement along the tunnel axis and plan-view settlement contour map

13. 地表沉降沿隧道轴线方向分布及俯视沉降云图

根据有限元模拟计算出急曲线盾构施工阶段引发的地表沉降,如图13为沿急曲线隧道轴线的地表沉降曲线,图13(b)为土体俯视图的沉降位移云图,红色线条代表急曲线盾构轴线位置。从沉降位移云图可以看出,沿轴线的沉降位移,更早完成开挖的位置(左侧)累积的沉降位移最大,沿着盾构开挖的方向前方地表沉降位移是逐渐减小的。图13(a)为沿隧道轴线的地表沉降曲线,反映了不同推进阶段(第 1 ~40 环)的沉降累积规律,可以明显观察到盾构推进至第1~ 4环时,整体地表沉降值很小,可以忽略不计;随着盾构推进,地表沉降明显增大,推进至第40环时最大的沉降发生在第1环的位置,达到−11.7 mm。地表沉降沿隧道开挖轴线方向的分布规律为,越早开挖的位置地表沉降越大,原因为前期已完成开挖段的土体经历了更长时间的土压释放与固结累积沉降。

图14为急曲线盾构隧道开挖引发地表沉降的横向分布,图14(b)为土体俯视图的沉降位移云图,红色线代表横向地表沉降的取值截面,位置约在第14环处,位于始发直线段中部,远离模型边界,可避免边界约束与开挖面扰动影响,同时处于钢管片稳态推进初期,沉降幅值已具代表性但尚未受后续曲线段工况干扰,因此可作为典型断面分析横向沉降特征。图14(a)为横向地表沉降分布,不同曲线代表开挖进程的变化,盾构开挖前期(第1环到第4环)地表沉降不明显;随着盾构向前开挖,到12环,出现明显地表沉降,沉降值为2.86 mm,占最终沉降的22.1%;随着开挖进程的推进,截面的沉降不断增大;最终开挖到第60环时接近最大沉降值,为12.97 mm。从空间分布来看,急曲线隧道轴线处的沉降值最大,向两侧沉降值逐渐减小,符合沉降槽的典型分布规律。

(a) 地表沉降横向分布 (b) 沉降云图

Figure 14. Transverse distribution of surface settlement and plan-view settlement contour map

14. 地表沉降横向分布及俯视沉降云图

5. 结语

本文通过建立基于上海桃浦污水处理厂初期雨水调蓄工程实际工况的三维有限元数值模型,对急曲线盾构隧道的施工过程进行了数值分析和研究,得出如下结论:

(1) 急曲线盾构施工过程中,由于盾构机尾部各分区液压千斤顶推力的不对称分布,管片出现明显的水平方向位移,最大位移位于急曲线中段附近,向曲线外侧位移明显,并伴随一定的竖向上浮变形。数值模拟得到管片水平位移与监测值的总体趋势与峰值相符,验证了数值模型的有效性。管片最大水平位移达到5.4 mm,最大竖向上浮位移达到11.4 mm,需特别注意管片的纵横向位移控制。

(2) 管片受力方面,急曲线段施工导致管片整体呈现较大的弯矩和剪力,最大弯矩值达到9.9 × 103 kN·m,出现在曲线入口处,盾尾处管片截面剪力达到最大值约−1.17 × 103 kN。管片整体受力与变形存在明显的关联性,最大应力和变形集中于拱腰位置。

(3) 提出的“偏心门式”MJS土体加固法在急曲线隧道施工中能够有效控制管片的水平位移。研究表明,加固宽度达到单侧3 m及以上时,对管片水平位移的抑制效果显著,管片水平位移减小约40%。同时,加固材料弹性模量达到40 MPa以上时,对水平位移的控制效果达到最佳,最大水平位移减小37%。

(4) 急曲线盾构施工引起的地表沉降表现出明显的空间非均匀性,地表沉降最大值发生在已完成开挖段落的初始区域,随着盾构掘进的推进逐渐降低。沿隧道轴线方向地表最大沉降达到12.97 mm,横向地表沉降槽呈现明显的中间大、两侧小的分布规律,符合常规盾构施工的沉降特性。

上述研究结果为类似工程的急曲线盾构施工提供了参考,并为进一步研究盾构隧道复杂施工条件下的变形控制技术奠定了实践基础。

参考文献

[1] 王振振. 小曲率半径连续曲线双盾构施工隧道特性研究[D]: [硕士学位论文]. 天津: 天津大学, 2017.
[2] 赵方彬. 盾构法修建地铁隧道的技术现状与展望[J]. 工程建设与设计, 2018(20): 191-192.
[3] 刘亚辉, 王亚飞, 黄运生, 等. 小半径曲线隧道盾构施工地表沉降分析[J]. 洛阳理工学院学报(自然科学版), 2022, 32(2): 20-25.
[4] 冯鹏程, 刘继国, 舒恒, 等. 曲线盾构隧道施工数值模拟及稳定性分析[J]. 公路, 2024, 69(1): 409-415.
[5] 邹兴. 小半径曲线盾构隧道施工变形特性研究[J]. 国防交通工程与技术, 2025, 23(1): 9-13, 85.
[6] 陈晨, 朱新健, 王永, 等. 小半径曲线段盾构隧道掘进过程中地表变形规律[J]. 铁道建筑, 2023, 63(10): 92-96.
[7] 程烨, 施静康, 张东明, 等. 复合地层中超大直径泥水盾构掘进引起地表沉降的3D数值模拟分析[J]. 中国市政工程, 2022(4): 55-58, 123-124.
[8] 朱继文. 软土地层急曲线盾构隧道施工扰动位移仿真模拟[J]. 中国市政工程, 2013(6): 58-61, 105-106.
[9] 叶雅图, 王世君, 王琪. 小半径上下重叠地铁盾构隧道设计与施工[J]. 地下空间与工程学报, 2008(4): 696-701, 733.
[10] 张云, 殷宗泽, 徐永福. 盾构法隧道引起的地表变形分析[J]. 岩石力学与工程学报, 2002(3): 388-392.
[11] 何川, 张景, 封坤. 盾构隧道结构计算分析方法研究[J]. 中国公路学报, 2017, 30(8): 1-14.
[12] 罗云峰, 李吉勇, 刘桂荣. 淤泥质软土地层急曲线盾构隧道施工关键技术研究及应用[J]. 建筑施工, 2024, 46(8): 1207-1211.